Südhang 1. Bauabschnitt

    Bauleitplanung der Ortsgemeinde Rülzheim

    Erlaubnisverfahren nach §§ 8, 15 Wasserhaushaltsgesetz

    Bekanntmachung

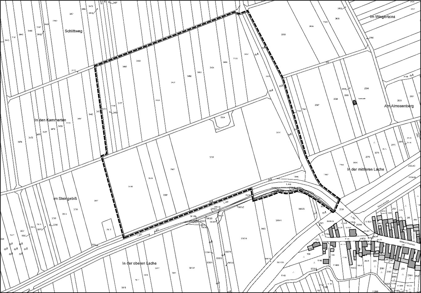
    1. Die Verbandsgemeindewerke Rülzheim hat die Erteilung einer gehobenen Erlaubnis für die Versickerung von Niederschlagswasser aus dem Bereich des Baugebiets „Südhang 1.BA“ über dezentral geschlossene Ableitungssysteme zu den Versickerungs- und Retentionsflächen im Bereich der Grundstücke mit der Flurstücks-Nr.: 2531 im Flur „Im Steingebiß“ in der Gemarkung Rülzheim sowie die Einleitung in den Altbach beantragt.

    Das Baugebiet mit den geplanten Versickerungs- und Retentionsflächen befindet sich im Bereich nördlich der L493 in Rülzheim.


    2.   
    Es wird darauf hingewiesen, dass

    2.1 die dem Vorhaben zugrundeliegenden Unterlagen (Plan) bei den

    Verbandsgemeindewerken Rülzheim

    Mittleren Ortsstraße 106 

    76761 Rülzheim

    in der Zeit vom 12. Januar 2026 bis einschließlich 12. Februar 2026

    während der üblichen Dienstzeiten im Zimmer 21 (Eingang im Hof, Treppe ins 1.OG, Linker Flur)

    zur Einsicht ausliegen;


    2.2
    die dem Vorhaben zugrundeliegenden Unterlagen (Plan) auch auf der Website der SGD Süd unter dem Link 

    https://sgdsued.rlp.de/de/service/oeffentlichkeitsbeteiligung-bekanntmachungen   

    und auf dieser Website (untenstehend) abrufbar sind


    2.3
    Einwendungen gegen das Vorhaben bei der

    Struktur- und Genehmigungsdirektion Süd

    Regionalstelle Wasserwirtschaft, Abfallwirtschaft und Bodenschutz

    Friedrich-Ebert-Straße 14

    67433 Neustadt

    und bei den

    Verbandsgemeindewerken Rülzheim

    Mittleren Ortsstraße 106 

    76761 Rülzheim

    bis spätestens zum 26. Februar 2026 

    schriftlich oder durch E-Mail mit qualifizierter elektronischer Signatur (§ 3a Abs. 2 Ver-waltungsverfahrensgesetz - VwVfG) an oder zur Niederschrift erhoben werden können;

    Wichtiger Hinweis:

    Bei der Verwendung der elektronischen Form sind besondere technische Rahmenbedin-gungen zu beachten, die auf der Homepage der SGD Süd unter https://sgdsued.rlp.de/de/service/elektronische-kommunikation/ aufgeführt sind.


    2.4
    Vereinigungen, die auf Grund einer Anerkennung nach anderen Rechtsvorschriften be-fugt sind, Rechtsbehelfe nach der Verwaltungsgerichtsordnung gegen die Entscheidung nach § 74 VwVfG einzulegen, innerhalb der Frist nach Ziff. 2.3 

    Stellungnahmen zu dem Vorhaben bei den vorgenannten Stellen abgeben können;


    2.5
    mit Ablauf der Einwendungsfrist alle Einwendungen und Stellungnahmen, die nicht auf besonderem privatrechtlichen Titel beruhen, ausgeschlossen sind;


    2.6
    bei begründeten Einwendungen ein Erörterungstermin anberaumt wird;


    2.7
    bei Ausbleiben eines Beteiligten in einem festgelegten Erörterungstermin auch ohne ihn verhandelt werden kann;


    2.8
    bei mehr als 50 vorzunehmenden Benachrichtigungen oder Zustellungen

    -  die Personen, die Einwendungen erhoben haben, von dem Erörterungstermin durch öffentliche Bekanntmachung benachrichtigt werden können,

    -  die Zustellung der Entscheidung über die Einwendungen durch öffentliche Bekanntmachung ersetzt werden kann;


    2.9 nachträgliche Auflagen wegen benachteiligender Wirkungen nur verlangt werden 
    können, wenn der Betroffene die nachteiligen Wirkungen nicht voraussehen konnte.

    Cookies ermöglichen eine bestmögliche Bereitstellung unserer Dienste. Mit der Nutzung unserer Seiten und Services erklären Sie sich damit einverstanden, dass wir Cookies verwenden. Mehr Infos!