Öffentlichkeitsbeteiligung gemäß § 3 Abs. 2 Baugesetzbuch (BauGB)
Der Gemeinderat der Ortsgemeinde Rülzheim hat in seiner Sitzung am 16.05.2024
dem Entwurf des Bebauungsplans „Süd, 1. Änderung“ zur Änderung und Ergänzung
der bauordnungsrechtlichen Festsetzungen des Bebauungsplans „Süd“ zugestimmt
und die Verwaltung beauftragt, den Bebauungsplanentwurf gemäß § 3 Abs. 2 BauGB
öffentlich auszulegen.
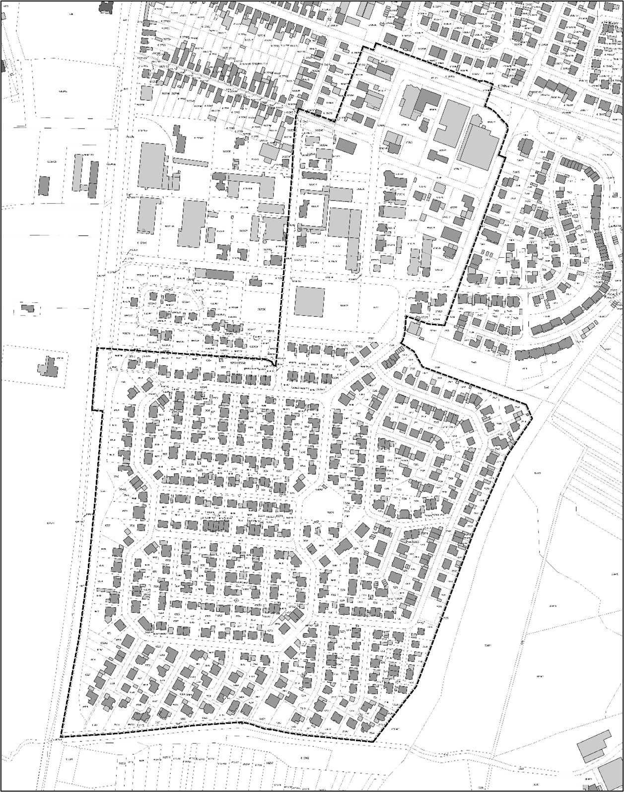
Der vorgesehen Geltungsbereich des Bebauungsplans „Süd, 1. Änderung“
umfasst den Geltungsbereich des Bebauungsplans „Süd“ mit Rechtskraft vom
02.03.1995 unter Ausschluss der Geltungsbereiche der Bebauungspläne „Süd E“ mit
Rechtskraft vom 12.05.2016 und „Kastanienallee“ mit Rechtskraft vom 15.07.2010
und wird begrenzt:
· im Norden: durch
die südliche und östliche Grenze des Geltungsbereichs des Bebauungsplans
„Kastanienallee“ mit
Rechtskraft vom 15.07.2010, durch die westliche Grenze der
Mozartstraße, durch die nördliche Grenze der
Neufeldstraße, durch die östlichen
Grenzen der Baugrundstücke östlich der Mozartstraße, durch die nörd liche Grenze
der Kuhardter Straße durch seine senkrechte Linie über die Kuhardter Straße und
Max-Planck-Straße von der südöstlichen Ecke des Flurstücks 6136/61 auf die
südliche Grenze der Max-Planck-Straße sowie durch die südliche Grenze der
Max-Planck-Straße,
· im Osten: durch
einen Teil der westlichen und der östlichen Grenze der Gutenbergstraße, durch
die westlichen Grenzen der Flurstücke 7416 und 7424, durch die nördliche,
westliche und südliche Grenze des Geltungsbereichs des Bebauungsplans „Süd E“,
durch die südlichen Grenzen der Flurstücke 7357/212 und 7357/21, durch die
westlichen Grenzen der Flurstücke 6135/69, 6135/68 und 6135/66
· im Süden: durch
die nördliche Grenze des Flurstücks 604677 (Rottenbach)
· im Westen: durch
die östliche und Teile der westlichen Grenze der Neuen Landstraße
Der vorgesehene Geltungsbereich ist zudem im
nachfolgenden Lageplan abgebildet:

Vorgesehener Geltungsbereich des Bebauungsplans „Süd, 1.
Änderung“
Anlass und Zielsetzung des
Bebauungsplans
Im Bebauungsplan „Süd“ der Ortsgemeinde
Rülzheim aus dem Jahr 1995 ist eine bauordnungsrechtliche Regelung zu
Einfriedungen enthalten. Zu öffentlichen Verkehrsflächen sind Einfriedungen bis
maximal 0,80 m Höhe und zu sonstigen Grenzen bis maximal 1,80 m Höhe zulässig.
Im Baugebiet gibt es allerdings eine Vielzahl
von Einfriedungen, die den bauordnungsrechtlichen Regelungen zu Einfriedungen nicht
entsprechen. Die Regelungen des Bebauungsplans stehen in diesem Punkt damit
erkennbar im Widerspruch zu den Bedürfnissen der Bauherren und Bewohner im
Plangebiet. Um den Bedürfnissen der Anwohner nach einer stärkeren Abschirmung
der Außenwohnbereiche beziehungsweise nach einer höheren Einfriedung der
Betriebsgelände der ebenfalls im Plangebiet vorhandenen Gewerbebetriebe
nachzukommen, hat der Gemeinderat nach Prüfung der städtebaulichen
Erforderlichkeit der bisherigen Regelungen beschlossen, den Bebauungsplan für
die Festsetzung der Einfriedungen anzupassen.
Verfahren
Durch die vorgesehenen Änderungen werden die
Grundzüge der Planung nicht berührt. Der Bebauungsplan kann daher im
vereinfachten Verfahren gemäß §13 BauGB geändert werden.
Die sonstigen Voraussetzungen des § 13 BauGB
sind erfüllt, da
·
der Bebauungsplan die
Zulässigkeit von Vorhaben, die einer Pflicht zur Durchführung einer
Umweltverträglichkeitsprüfung unterliegen, weder begründet noch vorbereitet.
·
keine Anhaltspunkte für
eine Beeinträchtigung der in § 1 Abs. 6 Nr. 7 Buchstabe b genannten Schutzgüter
(FFH- und Vogelschutzgebiete) bestehen.
·
keine
Anhaltspunkte dafür bestehen, dass bei der Planung Pflichten zur Vermeidung
oder Begrenzung der
Auswirkungen von schweren Unfällen nach § 50 Satz 1 des
Bundes-Immissionsschutzgesetzes zu beachten sind.
Entsprechend den
gesetzlichen Bestimmungen wird auf die Durchführung einer Umweltprüfung und auf die Erstellung eines Umweltberichts verzichtet. Weiterhin wird von
der frühzeitigen Unterrichtung und Erörterung nach § 3 Abs. 1 BauGB und einer
frühzeitigen Beteiligung der Behörden gemäß § 4 Abs. 1 BauGB abgesehen.
Öffentlichkeitsbeteiligung gemäß §
3 Abs. 2 BauGB
Zur Durchführung der Öffentlichkeitsbeteiligung
gemäß § 3 Abs. 2 BauGB wird der Entwurf des Bebauungsplans „Süd, 1. Änderung “,
mit der zugehörigen Begründung zum Bebauungsplan sowie dem Inhalt dieser
Bekanntmachung, in der Zeit
17.06.2024 bis 19.07.2024 (Veröffentlichungsfrist)
auf der Homepage der Verbandsgemeinde Rülzheim unter
der Adresse www.bauleitplanung.vg-ruelzheim.de im PDF-Format veröffentlicht und
zur Einsicht bereitgehalten.
Alle Unterlagen werden zudem im oben genannten
Zeitraum auch bei der Verbandsgemeindeverwaltung Rülzheim, Am
Deutschordensplatz 1, 76761 Rülzheim, im Deutschordenshaus im Zimmer 2 öffentlich
ausgelegt und sind während der Dienststunden Mo – Fr 8:30-12:00 Uhr, Di von
14:00-16:30 Uhr und Do von 14:00-18:00 Uhr einsehbar.
Es wird darauf hingewiesen,
- dass Stellungnahmen während der
Dauer der Veröffentlichungsfrist abgegeben werden können,
- dass Stellungnahmen
elektronisch an die Verbandsgemeindeverwaltung Rülzheim (E-Mail-Adresse: )
übermittelt werden sollen, bei Bedarf aber auch auf anderem Weg bei der
Verbandsgemeindeverwaltung Rülzheim, Am
Deutschordensplatz 1, 76761 Rülzheim, abgegeben werden
können (zum Beispiel schriftlich oder zur Niederschrift),
- dass Stellungnahmen, die im
Verfahren der Öffentlichkeitsbeteiligung nicht rechtzeitig abgegeben worden
sind, gemäß § 4a Abs. 5 BauGB bei der Beschlussfassung über den
Bauleitplan unberücksichtigt bleiben können, sofern die Ortsgemeinde Rülzheim deren
Inhalt nicht kannte und nicht hätte kennen müssen und deren Inhalt für die
Rechtmäßigkeit des Bauleitplanes nicht von Bedeutung ist.
Rülzheim, den 06.06.2024
gez. Reiner Hör
Ortsbürgermeister