Bauleitplanung der Ortsgemeinde Leimersheim_Bebauungsplan „Im Niederhorst 1 – 1. Änderung und Erweiterung“

    Bekanntmachung des Aufstellungsbeschlusses gemäß § 2 Abs. 1 Baugesetzbuch (BauGB); Öffentlichkeitsbeteiligung gemäß § 3 Abs. 2 Baugesetzbuch (BauGB)

    Der Gemeinderat der Ortsgemeinde Leimersheim hat in seiner Sitzung am 25.09.2025 den Aufstellungsbeschluss gemäß
    § 2 Abs. 1 BauGB für den Bebauungsplan „Im Niederhorst 1 – 1. Änderung und Erweiterung“ gefasst. Dieser Aufstellungsbeschluss wird hiermit ortsüblich bekannt gemacht. 

    In der gleichen Sitzung hat der Gemeinderat der Ortsgemeinde Leimersheim dem Entwurf des Bebauungsplans
    „Im Niederhorst 1 – 1. Änderung und Erweiterung“ zugestimmt und die Verwaltung beauftragt, den Bebauungsplanentwurf gemäß § 3 Abs. 2 BauGB öffentlich auszulegen. 

    Geltungsbereich
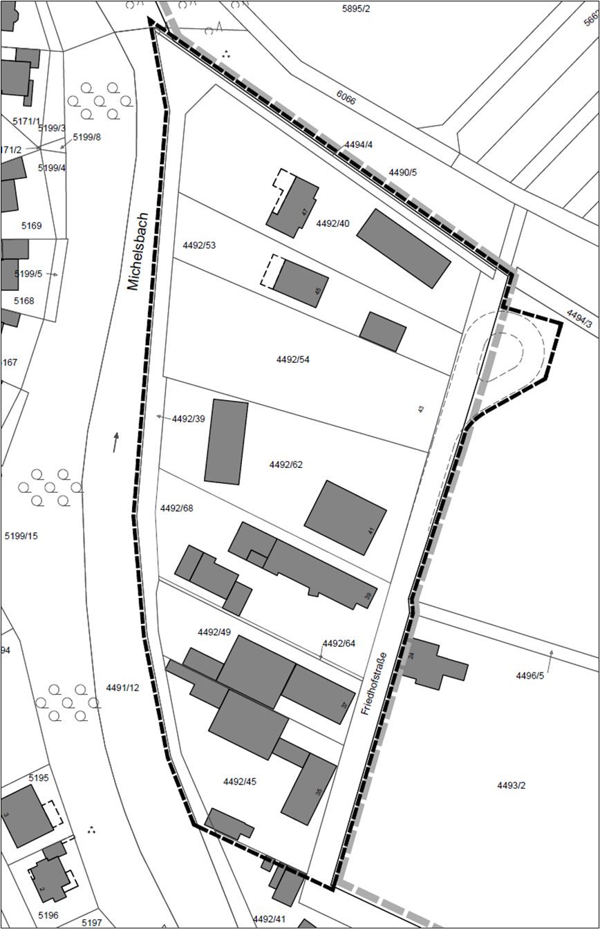
    Der Geltungsbereich des Bebauungsplans „Im Niederhorst 1 – 1. Änderung und Erweiterung“ umfasst die Flurstücke 4492/40, 4492/45, 4492/49, 4492/53, 4492/54, 4492/62, 4492/64, 4492/68 und 4494/4 vollständig sowie 3905/4 (Friedhofstraße), 4492/39 und 4493/78 teilweise. Der Geltungsbereich wird begrenzt:


    ·     im Norden:    durch die südliche Grenze des Flurstücks 4490/5 und eine Linie einer Ausweitung des Flurstücks 3905/4                                    auf das Flurstück 4493/78 mit Abstand von 12 m nach Süden von der südöstlichen Ecke des Flurstücks                                      4490/5; die Maße der Ausweitung betragen 18,5 m Richtung Osten und 44,5 m in Richtung Süden, die der                                Kontur einer Wendemöglichkeit für Sattelzüge folgt.

    ·     im Osten:      durch die westlichen Grenzen der Flurstücke 4493/78, 4496/5 und 4493/2 sowie durch die östliche Grenze
                                 besagter Ausweitung des Flurstücks 3905/4,

    ·     im Süden:     durch die nördliche Grenze des Flurstücks 4492/41, durch eine Linie ausgehend von der südöstlichen Ecke                               des Flurstücks 4492/45 auf die südwestliche Ecke des Grundstücks 4493/2 und durch eine Linie als
                                 Verlängerung der südlichen Grenze des Flurstücks 4492/45 auf die östliche Grenze des Flurstücks 4491/12                               sowie durch die südliche Grenze besagter Ausweitung des Flurstücks 3905/4,

    ·     im Westen:   durch die östliche Grenze des Flurstücks 4491/12.

    Der Geltungsbereich ist zudem im nachfolgenden Lageplan abgebildet:

    Abgrenzung Geltungsbereich (schwarz); in grau Geltungsbereich des Bebauungsplans "Im Niederhorst 1", ohne Maßstab

    Anlass und Zielsetzung des Bebauungsplans'
    Der Geltungsbereich der Bebauungsplan-Änderung umfasst Flächen, die im rechtskräftigen Bebauungsplans „Im Niederhorst 1“ vom 04.01.1990 als Gewerbegebiet festgesetzt sind. Aufgrund zwischenzeitlich eingetretener
    Veränderungen der Nutzungen wird ein Festhalten an der Festsetzung als Gewerbegebiet von der Ortsgemeinde
    jedoch als städtebaulich nicht mehr sinnvoll erachtet. Daher ist vorgesehen, die Gebietsart so zu verändern, dass
    einerseits für die bestehenden und verbleibenden Betriebe ein ausreichender Bestandsschutz gewahrt wird,
    andererseits aber auch eine Nutzung durch Wohngebäude ermöglicht wird.

    Zugleich soll den veränderten wasserwirtschaftlichen und ökologischen Anforderungen bei der Weiterentwicklung des Gebiets Rechnung getragen werden. Ebenso soll eine Wendemöglichkeit am nördlichen Ende der Friedhofstraße ergänzt werden.

    Verfahren
    Der Bebauungsplan dient der Umstrukturierung bereits bebauter Flächen in einer Innenbereichslage. Der Bebauungsplan wird daher im beschleunigten Verfahren gemäß § 13a BauGB aufgestellt.

    Entsprechend den gesetzlichen Bestimmungen wird auf die Durchführung einer Umweltprüfung und auf die
    Erstellung eines Umweltberichts verzichtet. Weiterhin wird von der frühzeitigen Unterrichtung und Erörterung nach § 3 Abs. 1 BauGB und einer frühzeitigen Beteiligung der Behörden gemäß § 4 Abs. 1 BauGB abgesehen.

    Öffentlichkeitsbeteiligung gemäß § 3 Abs. 2 BauGB
    Zur Durchführung der Öffentlichkeitsbeteiligung gemäß § 3 Abs. 2 BauGB wird der Entwurf des Bebauungsplans „Im Niederhorst 1 – 1. Änderung und Erweiterung“, mit der zugehörigen Begründung zum Bebauungsplan sowie dem Inhalt dieser Bekanntmachung, in der Zeit

                                                       20.10.2025 bis 21.11.2025 (Veröffentlichungsfrist)

    auf der Homepage der Verbandsgemeinde Rülzheim unter der Adresse www.bauleitplanung.vg-ruelzheim.de im PDF-Format veröffentlicht und zur Einsicht bereitgehalten.

    Alle Unterlagen werden zudem im oben genannten Zeitraum auch bei der Verbandsgemeindeverwaltung Rülzheim, Am Deutschordensplatz 1, 76761 Rülzheim, im Deutschordenshaus im Zimmer 5 öffentlich ausgelegt und sind während der Dienststunden Mo – Fr 8:30-12:00 Uhr, Di von 14:00-16:30 Uhr und Do von 14:00-18:00 Uhr einsehbar.

    Es wird darauf hingewiesen,

    -     dass Stellungnahmen während der Dauer der Veröffentlichungsfrist abgegeben werden können,

    -     dass Stellungnahmen elektronisch an die Verbandsgemeindeverwaltung Rülzheim (E-Mail-Adresse:       
          ) übermittelt werden sollen, bei Bedarf aber auch auf anderem Weg bei der Ver
          bandsgemeindeverwaltung Rülzheim, Am Deutschordensplatz 1, 76761 Rülzheim, abgegeben werden können
          (zum Beispiel schriftlich oder zur Niederschrift),

    -     dass Stellungnahmen, die im Verfahren der Öffentlichkeitsbeteiligung nicht rechtzeitig abgegeben worden sind,               
          gemäß § 4a Abs. 5 BauGB bei der Beschlussfassung über den Bauleitplan unberücksichtigt bleiben können, so
          fern die Ortsgemeinde Leimersheim deren Inhalt nicht kannte und nicht hätte kennen müssen und deren Inhalt
          für die Rechtmäßigkeit des Bauleitplanes nicht von Bedeutung ist.

     Leimersheim, den 09.10.2025

    gez. Matthias Schardt
    Ortsbürgermeister

    Cookies ermöglichen eine bestmögliche Bereitstellung unserer Dienste. Mit der Nutzung unserer Seiten und Services erklären Sie sich damit einverstanden, dass wir Cookies verwenden. Mehr Infos!