-
Bekanntmachung
Satzungsbeschluss und Inkrafttreten
Der Gemeinderat der Ortsgemeinde Leimersheim hat in
seiner Sitzung am 26.06.2025 den Bebauungsplan „Im Brühl, 2. Änderung“ gemäß §
10 Abs. 1 BauGB als Satzung beschlossen. Der Satzungsbeschluss wird hiermit
bekannt gemacht.
Mit dieser Bekanntmachung des Satzungsbeschlusses gemäß §
10 Abs. 3 Baugesetzbuch (BauGB) tritt der Bebauungsplan „Im Brühl, 2.
Änderung“ in Kraft.
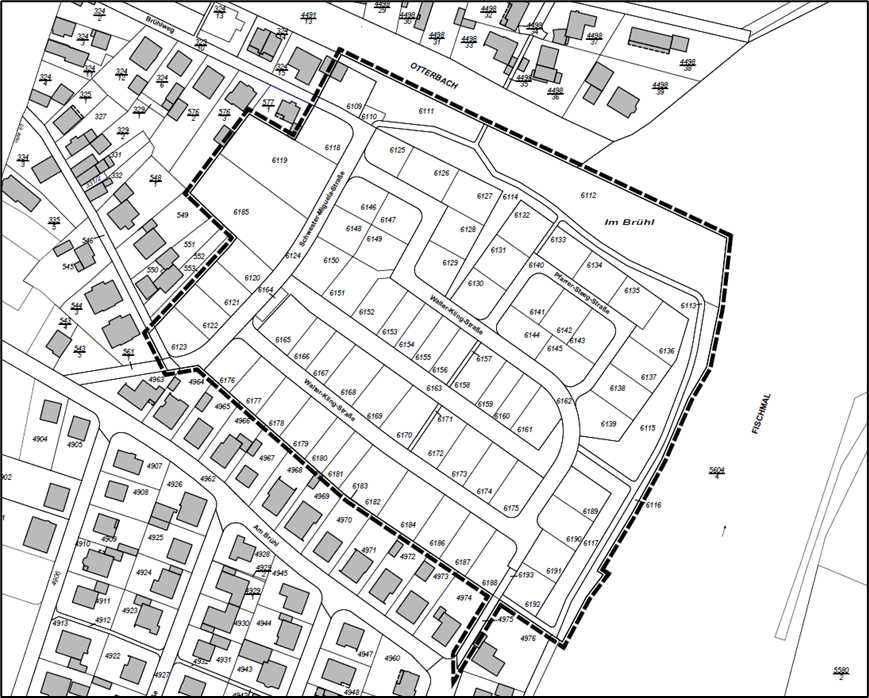
Der Geltungsbereich
der Bebauungsplan-Änderung umfasst den kompletten Geltungsbereich des
Bebauungsplans „Im Brühl“ und wird – nach zwischenzeitlich erfolgter Umlegung -
begrenzt:
·
im Norden: durch
die südlichen Grenzen der Flurstücke 4491/13 (Otterbach) sowie 5604/4
(Fischmal),
·
im Osten: durch
westliche Grenze des Flurstücks 5604/4 (Fischmal),
·
im Süden: durch
die nördlichen Grenzen der Flurstücke 4976, 4961, 4974, 4973, 4972, 4971, 4970,
4969, 4968,
4967, 4966, 4965, 4964 und 4963
· im Westen: durch die östlichen Grenzen der Flurstücke
553, 576/3, 577/1, 323/10 sowie 324/15
Der Geltungsbereich der Bebauungsplanänderung umfasst die
Flurstücke 6109, 6110, 6111, 6112, 6113, 6114, 6115, 6116, 6117, 6118, 6119,
6120, 6121, 6122, 6123, 6124 (Schwester-Miguela-Straße), 6125, 6126, 6127,
6128, 6129, 6130, 6131, 6132, 6133, 6134, 6135, 6136, 6137, 6138, 6139, 6140
(Pfarrer-Steeg-Straße), 6141, 6142, 6143, 6144, 6145, 6146, 6147, 6148, 6149,
6150, 6151, 6152, 6153, 6154, 6155, 6156, 6157, 6158, 6159, 6160, 6161, 6162
(Walter-Kling-Straße), 6163, 6164, 6165, 6166, 6167, 6168, 6169, 6170, 6171,
6172, 6173, 6174, 6175, 6176, 6177, 6178, 6179, 6180, 6181, 6182, 6183, 6184,
6185, 6186, 6187, 6188, 6189, 6190, 6191, 6192, 6193 sowie 4975 vollständig und
die Flurstücke 546 und 561/1 teilweise.
Der Geltungsbereich ist zudem im nachfolgenden Lageplan abgebildet:

Geltungsbereich der Bebauungsplanänderung
Gemäß § 10 Abs. 3 BauGB wird der Bebauungsplan
mit der Begründung ab sofort bei der Verbandsgemeindeverwaltung Rülzheim, Am
Deutschordensplatz 1, Deutschordenshaus, während der Dienststunden Mo – Fr
8:00-12:15 Uhr, Di von 14:00-16:30 Uhr und Do von 14:00-18:00 Uhr oder nach
telefonischer Vereinbarung zu jedermanns Einsicht bereitgehalten. Über den
Inhalt wird auf Verlangen Auskunft gegeben.
Der Bebauungsplan mit seiner Begründung ist
zudem auf der Homepage der Verbandsgemeinde Rülzheim unter der Adresse www.informationen-bauen.vg-ruelzheim.de
veröffentlicht.
Auf die Vorschriften des § 44 Abs. 3 Satz 1 und
2 BauGB über die Fälligkeit etwaiger Entschädigungsansprüche im Falle der in
den §§ 39 - 42 BauGB bezeichneten Vermögensnachteile, deren Leistung
schriftlich beim Entschädigungspflichtigen zu beantragen ist und des § 44 Abs.
4 BauGB über das Erlöschen von Entschädigungsansprüchen, wenn der Antrag nicht
innerhalb der Frist von drei Jahren gestellt ist, wird hingewiesen.
Eine Verletzung der in § 214 Abs. 1 Satz 1 Nr.
1 – 3 und Abs. 2 BauGB bezeichneten Verfahrens- und Formvorschriften sowie
Mängel in der Abwägung nach § 214 Abs. 3 Satz 2 BauGB sind gemäß § 215 Abs. 1
Nr. 1 - 3 BauGB unbeachtlich, wenn sie nicht innerhalb eines Jahres seit dieser
Bekanntmachung schriftlich gegenüber der Gemeinde geltend gemacht worden sind.
Gleiches gilt wenn Fehler bei der Anwendung des beschleunigten Verfahrens gemäß
§ 13 a BauGB nach § 214 Abs. 2a beachtlich sind. Bei der Geltendmachung ist der
Sachverhalt, der die Verletzung oder den Mangel begründen soll, darzulegen.
Sinngemäß wird auf § 24 Abs. 6 Satz 4
Gemeindeordnung verwiesen, wonach Satzungen, die unter Verletzung von
Verfahrens- und Formvorschriften zustande gekommen sind, ein Jahr nach der
öffentlichen Bekanntmachung als von Anfang an gültig zustande gekommen gelten,
wenn die Rechtsverletzung nicht innerhalb eines Jahres nach der öffentlichen
Bekanntmachung der Satzung unter Bezeichnung des Sachverhalts, der die
Verletzung begründen soll, schriftlich geltend gemacht worden ist.
Leimersheim, den 10.07.2025
gez. i.V. Elke
Huber
Beigeordnete